材料の強度と破壊>純鉄の再結晶現象に及ぼす塑性ひずみの影響

純鉄の再結晶現象に及ぼす塑性ひずみの影響

八戸工業大学 小山信次

  加工を与えた金属材料は、加熱したとき回復、再結晶の過程をたどることが知られている。あらかじめ与えた塑性ひずみの大きさと再結晶粒径の大きさはどのような関係があるか純鉄を用いて調べた。一定の関係があれば、破壊前に作用した変形の大きさを推定することが可能になる。しかし、数回の実験を行ったが、履歴の影響が表れ、一定の関係は得られなかった。
 
  実験に用いた材料は市販の純鉄の鍛造棒である。結晶粒大きさを揃えるためと履歴の影響を少なくするため1000℃で5時間保持、21℃/hで冷却の熱処理を行った。そして図1に示す試験片に加工した後、600℃、1時間保持のひずみ取りの熱処理を行った。
 

  
図1 引張試験片
 
  引張試験は容量10トンのネジ式引張試験機を用い、引張速度は2.0mm/minで行った。塑性ひずみの測定は、破断面から35mmの位置に基準線をけがき、基準線からの距離xにおける塑性ひずみ次式で定義した。
 
            
                  D0: 変形前の試験片へ移行部の直径 10.0mm
                  D : 基準線からxの距離における変形後の直径
 

 
図2 塑性ひずみの計算のため直径を測定
 
 結晶の粒径は軸方向の大きさとこれと垂直な方向を測定し、平均値を結晶粒大きさとした。
 
■結晶粒の変形の様相
 
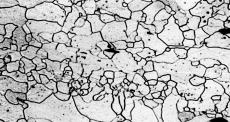
 熱処理前と熱処理後の結晶粒の変形の様相を図3に示した。破断面近くの結晶は大きく変形していることが分かる。600℃での熱処理後は、再結晶粒は生じているが、まだ不十分である。630℃、660℃ではほぼ、再結晶粒が全面に観察され、再結晶現象が完了したと判断できる。
 


(a)未熱処理 (b) 600℃ (c) 630℃
図3 結晶粒の様相    
 図4は、塑性ひずみの大きさと平均結晶粒径との関係を示した。この結果からも、630℃、660℃では、ほぼ同一曲線であり、再結晶現象が完了したと判断できる。塑性ひずみが大きいほど再結晶粒径は小さくなっている。
 

 
図4
 
 図5は 結晶粒大きさの度数分布を表したもので、100個の結晶粒をサンプリングし大きさを測定した。 いずれもx=32mmの領域で破断面から3mmのところで変形の大きい箇所である。600どの場合はまだばらつきがあるが、630℃、660℃は、ほぼ同形状であり再結晶が完了したと考えられる。

(a)未熱処理 平均粒径 165μm
 

(b) 600℃熱処理  平均粒径 75μm

 
(c) 630℃熱処理 平均粒径 45μm

 
(d) 660℃熱処理 平均粒径 45μm
 
図5 結晶粒大きさの度数分布 いずれもx=32mmの領域
 
*八戸工業大学機械系工学科卒業論文、「再結晶現象に及ぼす塑性ひずみの影響について」、昭和57年、加藤保之、田村太作君の一部
  
■再結晶現象について
 
 
●ひずみ硬化と機械的性質の変化

 金属材料に変形を与えると硬度Hv、降伏応力σy、引張強さσuは上昇する、しかし、伸びeは減少する。いわゆる、ひずみ硬化(加工硬化)の現象が生ずる。与えた変形の大きさこれらの量との関係を図6に示した。別ページ「3.6 加工による強化 」で説明しているように、ひずみ硬化は大量に発生した転位が移動できなり、存在することにより生ずる。また、このとき、多数の空格子も生成される。

 
図6
 
  ひずみ硬化を受けた金属材料をある温度以上に加熱すると、硬度、引張強さ、降伏応力は次第に減少し、伸びは次第に増加する。ひずみ硬化を受けた以前の状態に戻ることから
この現象を回復(recovery)と呼んでいる。ひずみ硬化の状態は、格子欠陥や転位という面状欠陥にひずみエネルギーが蓄えられた状態であるが、機会があればエネルギーの低い状態に戻ろうとする不安定な状態にある。熱エネルギーを与えるとこれらの欠陥は移動し、エネルギーが低い状態に変化する、つまり、消滅するかエネルギーの低い状態に転位が再配列するかなどの傾向にある。
 
●転位の上昇
 
 刃状転位において原子過剰面下端への、あるいは下端原子(あるいは空孔)の拡散による移動によって転位が上昇する。高温度で熱エネルギーを与えられることにより拡散が可能になる。この上昇を繰り返し、結晶端に達すると消滅することになる。
 
(a)変形後 (b)加熱後

図7 加熱による転位の上昇
 
 ●転位の再配列

 無秩序にすべり面状にある刃状転位が図のように縦に一列に並んだ方がエネルギー的に安定し、内部応力あいはひずみエネルギーを低下させる。これを小角粒界(lowangle grain boundary)と言い、囲まれた領域を亜結晶粒(sub grain)と言う。
(a)変形後 (b)加熱後
図8 転位の再配列 亜結晶粒
●転位の消滅
 
異符号の転位同士が合体することにより消滅。常温でも可能であるが、温度が高いと起こりやすい。
  
(a) 正負の波状転位 (b)
図9 正負の刃状転位は合体して消滅
●転位の上昇と正負の転位の合体による消滅
(a) (b)

図10 転位の上昇と正負の転位の合体により消滅
 
●らせん転位の交差すべり

 移動するらせん転位の一部が別のすべり面(B)に移り、短い距離を移動した後、元のすべり面(A)と平行な面(C)に戻ると言う交差すべりを生ずる。元のすべり面と平行な面(C)に戻った転位は移動可能であるが、転位端はすべり面(B)にあり移動不可能となり、ロックされ転位源になることで知られている。
 図11は異なるすべり面にある右巻せん転位と左巻せん転位が交差すべりを起こし、合体して消滅する場合を示している。
(a) (b)
図11 正負のらせん転位の交差すべりによる合体で消滅
●再結晶
 
 亜結晶粒の内部は転位密度の低い、ひずみが非常に小さい状態にある微小結晶である。この亜結晶が核となって転位密度の高い部分を吸収して、あるいは微小結晶同士が合体して成長してひずみの少ない結晶ができる。この現象を再結晶(recrystallization)という。熱処理前に受けたひずみが大きいほど微細な結晶になる。加工によるひずみ取り熱処理、結晶粒微細化などに応用されている。
 
(a)熱処理前 (b)再結晶粒出現 (c)再結晶完了
 
図12 再結晶粒の出現と再結晶完了
*注1 ひずみ硬化(strain hardening)と加工硬化(work hardening)
 
 どちらの言葉も同様な意味であるが、どちらかというと「強度と破壊」の分野では「ひずみ硬化」と言う言葉を用い、従来の「金属工学」などでは「加工硬化」を用いる場合が多い。
 
■650℃における純鉄の再結晶

 

 
(a)未熱処理 (b) 650℃
図13 650℃の再結晶の様相           
 
■回復、再結晶、結晶成長と機械的性質の変化の関係
 
 加工によって変化した、硬さ、引張強さ、粘り強さが回復、再結晶、結晶成長とともに図14のように変化して加工前の状態に戻る。

 
図14 加工材の加熱による機械的性質の変化
 
 
*650℃再結晶 八戸工業大学エネルギー工学科卒業論文、「純鉄の再結晶現象に及ぼす予ひずみの影響について(第2報)」、昭和61年、橋本浩平、三上康栄君の一部

材料の強度と破壊>純鉄の再結晶現象に及ぼす塑性ひずみの影響